domingo, 28 de junho de 2009

Flores de videira

Acabam de florir as últimas videiras das terras altas do interior Norte e Centro de Portugal.
A esta altitude o vinho é de fraca qualidade, um resquício dos sistemas de agricultura secularmente construídos com o objectivo de garantir a auto-suficiência das comunidades camponesas.

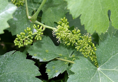
Duas fotos da Vitis vinifera «videira-europeia» em flor.
A floração na videira (e em todas as espécies do género Vitis) envolve a libertação (deiscência) da corola (caliptra em Vitis) e a extrusão dos estames.

Vitis vinifera «videira-europeia» . N.b. sépalas muito reduzidas (não visíveis na foto); pétalas soldadas pela extremidade numa estrutura em forma de capuz conhecida por caliptra ou caruma (vd. caliptra em vias de se soltar da flor situada no ápice distal do cacho); 5 estames de filete longo; ovário súpero, i.e. restantes peças da flor inseridas por debaixo do ovário

Vitis vinifera «videira-europeia» . N.b. pétalas caducas na floração tombando em conjunto (vd. caliptras dispersa na folha situada imediatamente abaixo do cacho)

2 comentários:

  1. Muito bonito e muito instrutivo!!

    zg

    ResponderEliminar
  2. Formada em Música mas apaixonada pelas plantas, considero este blog um dos melhores que encontrei,uma fonte de aprendizagem confiável e um deleite. Escolhi-o como um blog de referência para compor a pagina do blog da associação arte Conjunta (http:arteconjunta.blogspot.com). Com a mais profunda gratidão...eu vos visito sempre que entro na www.Obrigda.Elaine
    Elaine

    ResponderEliminar